Manuscripts
Plat of Washington Street between Main and San Pedro [Wolfskill] Streets
You might also be interested in

Proposed Extension of Sixth Street Between Main & Los Angeles Streets over the Kerckhoff Tract
Manuscripts
Showing lot owners; red, blue & black ink. Courses, distances; survey requested by George Kerckhoff. Paper watermark: Royal Linen Ledger. Alt title supplied by cataloger.
mssSolano SR_Map_0683

Map of the Proposed Widening of First Street between Main Street and Alameda Street
Manuscripts
P. 6 of stapled document, "House lot of Antonio Valla..." showing Main, Los Angeles & San Pedro streets, courses, distances, parcel owners; red highlighting. Copied by Alfred Solano.. Alt title supplied by cataloger.
mssSolano SR_Box_32(39).03

Plat of the Celis Vineyard Tract.; showing subdivisions of partition 1877
Manuscripts
P.21 of stapled document, "The Celis Vineyard Tract..." shows parcel owners, courses, distances (in red), lot numbers, structure. Alt. title supplied by cataloger.
mssSolano SR_Box_27(08).08

Los Angeles : area of Second Street extension between San Pedro and Los Angeles Street
Manuscripts
showing structures, parcel owners [incl. Weinshank]; color highlighting, courses, distances. [See also Maps 635, 724, 736]. Title supplied by cataloger.
mssSolano SR_Map_0729

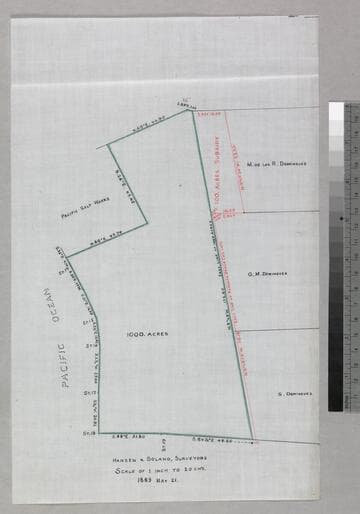
Rancho San Pedro : S66 - 1000 acre parcel
Manuscripts
Showing Pacific Salt Works, courses, distances, parcel owners, stations; red ink, green highlighting. Title supplied by cataloger.
mssSolano SR_Box_24(06).09

Main Sewer between First Street and Ogier Lane
Manuscripts
along Los Angeles St., showing parcel owners; courses & distances. Inset : sewer junction at Ogier Lane [Scale 1 : 20 ft.]. ["btween" misspelled in title]. Alt. title supplied by cataloger.
mssSolano SR_Map_0559.02